Il primo passo
071.2905445
Toggle navigation
Home
Chi siamo
Storia
Vision e Mission
Team
In vendita
Residenziale
Commerciale
Prestigio
Cantieri
In affitto
Residenziale
Commerciale
Vendere
Il piano d’azione
Phygital: la strategia di vendita
Essere partner
Valuta il tuo immobile
Lavora con noi
L'agente immobiliare
Invia il tuo CV
Previous
Next
160.000 €
Edificio commerciale con corte esclusiva
(Rif. 437SC) - Jesi
Rif. 437SC
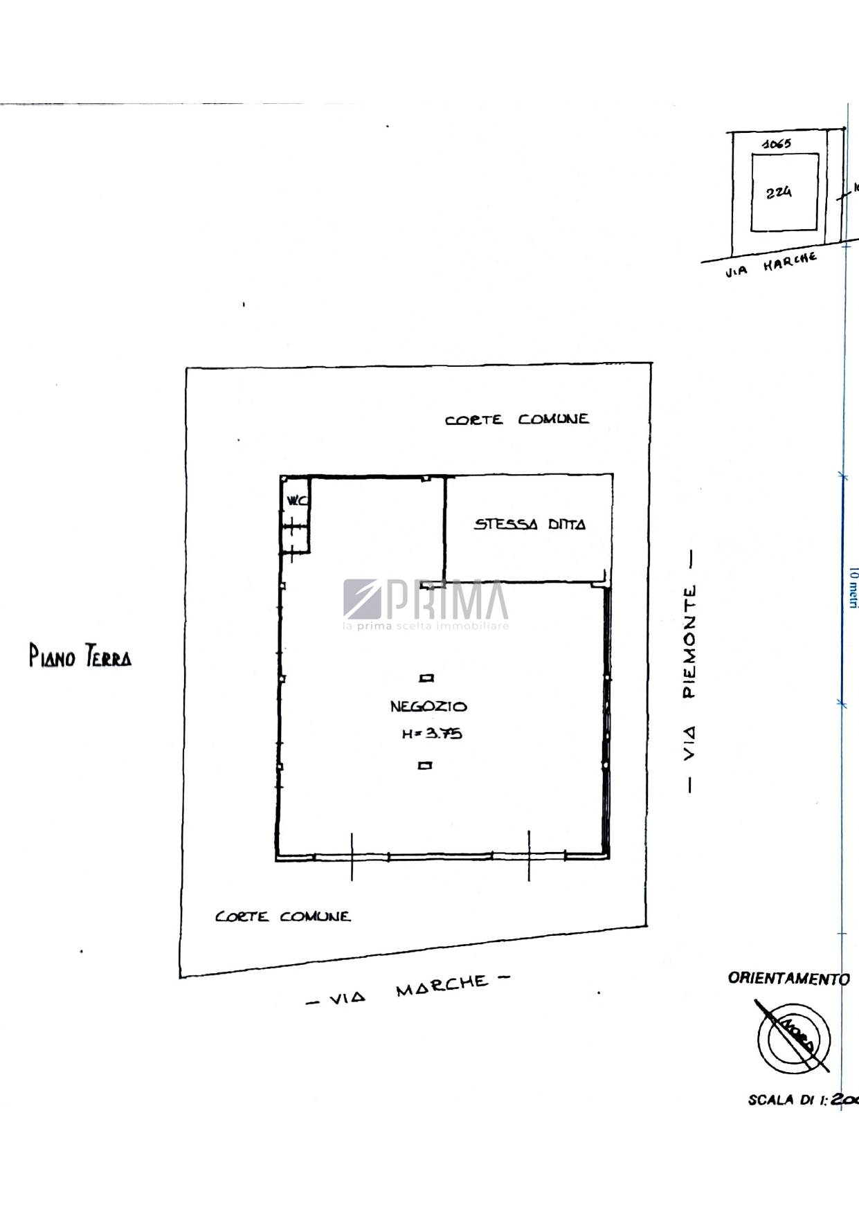
Jesi – Via Marche 3 | Immobile commerciale in posizione strategica e ad alta visibilità
Proponiamo in vendita a Jesi, in Via Marche 3, un edificio commerciale situato in una zona caratterizzata da intenso passaggio veicolare e pedonale, inserita in un contesto commerciale consolidato e facilmente raggiungibile dai principali nodi stradali della città.
L’immobile si sviluppa su una superficie espositiva/commerciale di circa 220 mq, ambienti luminosi valorizzati da ampie vetrine fronte strada che garantiscono massima visibilità e un forte impatto per qualsiasi attività. Gli spazi interni risultano versatili e facilmente personalizzabili: la pianta si presta sia a una soluzione open space sia alla suddivisione in uffici, studi o aree tematiche, in base alle specifiche esigenze operative.
Completano la proprietà circa 30 mq di magazzino, ideali per la gestione delle scorte o come archivio, con accesso funzionale per le operazioni di carico e scarico.
La zona offre inoltre ampie possibilità di parcheggio nelle immediate vicinanze, elemento fondamentale per garantire comodità alla clientela e al personale. Gli ambienti sono ben mantenuti e pronti all’utilizzo, rendendo l’immobile adatto a diverse tipologie di attività, dal retail agli showroom, dagli studi professionali ai centri servizi o realtà direzionali che necessitano di visibilità e rappresentatività.
Soluzione interessante anche per investitori: la metratura generosa e la posizione strategica favoriscono una buona locabilità e concrete prospettive di redditività.
Se sei interessato a questo immobile il riferimento che lo identifica è 437SC, contattaci indicando questo riferimento per avere tutte le informazioni che ti interessano.
I nostri agenti sono a tua completa disposizione.
Tipologia
Negozio
Superficie
250 mq
Locali
2
Tipologia
Negozio
Superficie
250 mq
Locali
2
Caratteristiche principali
Codice
437SC
Città
Jesi
Categoria
Negozio
Prezzo
160.000 €
Locali
2
Mq
250
Mq Box
35
Classe energetica
G
Stato Immobile
Buono
Grado
Medio
Orientamento
Nord Ovest Sud Est
Riscaldamento
Autonomo
Serramenti
Buono
Mappa
Via Marche 3, Jesi (AN)
Foto • Planimetrie • Video
Foto
Planimetrie
Opzioni
Stampa scheda immobile
Invia scheda via mail
Agenti venditori
PROCACCINI LORENZO
lorenzoprocaccini@immobiliareprima.it
Richiedi informazioni
Nominativo *
Telefono *
Email *
Dettagli richiesta *
Autorizzo il trattamento dei miei dati personali in base al Regolamento UE n. 679/2016 -
Privacy Policy
Autorizzo al trattamento dei dati per finalità di marketing, attività promozionali, offerte commerciali ed indagini di mercato.
Invia
Condividi su
Ti consigliamo anche
In Vendita
Negozio al centro con corte
37.500 €
In Vendita
GRANDE NOVITÀ COMMERCIALE A JESI
350.000 €
In Vendita
Jesi Locale commerciale con ampia visibilità
73.000 €
E-mail
Contattaci
Mantieni impostazioni di default X
Uso dei cookies
Questo sito fa uso di cookies. I nostri cookies (propri) e quelli dei nostri Partners (cookies di terzi) servono per poterti offrire un'esperienza unica con noi. Per questo motivo, insieme ai nostri partners, raccogliamo e processiamo informazioni non sensibili (come l'identificatore del tuo dispositivo o le pagine che visiti).
In qualsiasi momento potrai eliminare, modificare o verificare le informazioni che condividi in
Cookie preference
o nella nostra
Cookie Policy
e
Privacy Policy
.
Necessari
Funzionali
Profilazione
Analitici
Accetta tutti
Rifiuta tutti
Accetta selezionati
Cookie preference